Jonas Rymer

Leiloeiro Público Oficial

Desde 1999 promovendo leilões de sucesso

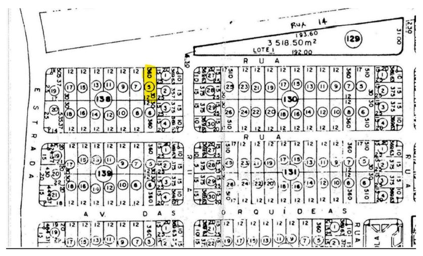
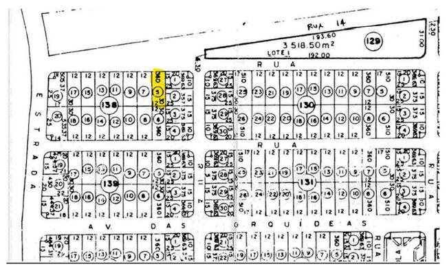
Lote do terreno 05 da quadra 138 com 360m² em Itaguaí

Modalidade: Online
Primeiro Leilão: 18/05/2026 12:00
Lance Mínimo R$ 43.710,00
Segundo Leilão: 21/05/2026 12:00
Lance Mínimo R$ 21.855,00 Economize até - 50%
Lances 0
Formas de Pagamento
Para mais informações consulte o Edital do Leilão. Além do pagamento do valor do lance vencedor, o arrematante deverá efetuar também o pagamento de 5% sobre o valor do arremate a título de comissão do leiloeiro. Caso o licitante vencedor não honre com o devido pagamento (tanto do preço como da comissão do Leiloeiro), poderá ser aplicada ao licitante inadimplente, pelo Juízo, multa correspondente a 20% sobre o valor do lance ofertado, nos termos do art. 895, §§ 4º e 5º; art. 896, § 2º; art. 897 e art. 898 do Código de Processo Civil, como medida punitiva-educativa, além da execução judicial do valor da comissão do Leiloeiro.
Localização
Não disponível.
Ref. Interna: #1126. Leilão: #829